Oakwood Cemetery Repairs

Client
City of Charlottesville, Virginia

Helping an historic cemetery survive a changing landscape

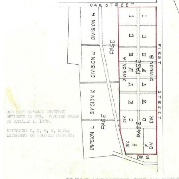
Line and Grade conducted a thorough forensic investigation of the drainage challenges that have manifested at Oakwood Cemetery in the city of Charlottesville.

Our work included a detailed review of historic and archival resources; archaeology investigations; subsurface investigations, including GPR scanning to identify grave sites; and subsurface utility investigations. The results indicated many interrelated deficiencies, which, when taken in aggregate, led to an unfortunate scenario that corresponds with an area of the cemetery comprised predominantly of African American residents.

Line and Grade worked closely with city staff to engage descendants, community members, and advocacy groups to conduct our investigatory work with transparency and empathy.

Key staff

Partners

Additional Resources